El tifón Haiyan se cobró la vida de más de 10 mil personas
Categorias: Asia
Por Pictolic https://mail.pictolic.com/es/article/el-tifn-haiyan-se-cobr-la-vida-de-ms-de-10-mil-personas.htmlSegún los meteorólogos, el último tifón Haiyan se convirtió en uno de los más fuertes en la historia de las observaciones. Al ciclón se le asignó la quinta categoría de peligro más alta.
La agencia de noticias Reuters, citando un comunicado de la policía filipina, informa que solo como resultado de un súper tifón en la provincia central filipina de Leyte, murieron unas 10 mil personas. El equipo de la ONU para la evaluación y coordinación del trabajo sobre la eliminación de las consecuencias de los desastres naturales, las consecuencias del tifón se compararon con el tsunami más poderoso y destructivo de 2004. También hay informes de saqueos masivos y saqueos en las áreas afectadas de Filipinas.
(19 fotos en total)


1. El tifón Haiyan, que azotó la provincia de Leyte de las Islas Filipinas el 8 de noviembre, se cobró la vida de al menos 10 mil personas. Como resultado del desastre, 4 millones de personas ya se han visto afectadas, informa Reuters. 500 mil personas se quedaron sin un techo sobre sus cabezas.

2. El presidente filipino, Beningo Aquino, se negó a dar incluso un número aproximado de muertes, señalando que las autoridades tienen datos incompletos. El número de muertos puede aumentar significativamente a medida que se disponga de nueva información.

3. Una franja de destrucción se extendía por la parte central de Filipinas durante unos 600 km. En las ciudades, el ciclón destruyó hasta el 80% de los edificios, las aldeas fueron desenergizadas, las carreteras fueron bloqueadas por árboles caídos.

4. El tifón levantó fuertes olas de hasta 5 metros de altura, dieron sentido a muchos edificios en las islas de Samar y Leyte.

5. El pico de destrucción se registró en la ciudad de Tacloban, un equipo de la ONU ya llegó aquí para evaluar y coordinar el trabajo sobre la eliminación de las consecuencias de un desastre natural. Se observa una grave destrucción en las ciudades de Palo, Buoc, Burauen.

6. Según los meteorólogos, el último tifón se convirtió en uno de los más fuertes en toda la historia de las observaciones. Al ciclón se le asignó la quinta categoría de peligro más alta.

7. Las ráfagas de viento en el centro del ciclón alcanzaron los 315-379 kilómetros por hora. El huracán récord anterior "Camilla", que golpeó la costa de los Estados Unidos en 1969, tenía una velocidad de aproximadamente 305 kilómetros por hora.

8. El Haiyan salió de Filipinas y llegó a la costa norte de Vietnam ayer por la mañana. La velocidad del viento disminuyó a 185 kilómetros por hora, pero las autoridades de la república decidieron ir a lo seguro y evacuaron a 500 mil personas de las zonas costeras. En la foto: vietnamitas recolectan sacos de arena, preparándose para el tifón Haiyan que se acerca a su costa, el 9 de noviembre.

9. Cabe señalar que anteayer, la Cruz Roja declaró que, según informes preliminares de sus empleados que trabajan en el lugar del desastre, el número de víctimas del tifón Haiyan solo en la ciudad costera de Tacloban es de aproximadamente 1 mil personas, aproximadamente la misma cantidad de cuerpos flotando en sus calles. Unas 200 personas más murieron en la provincia de Samar. Samar y Tacloban son las zonas más afectadas por el tifón.

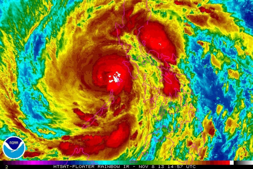
10. La formación de un poderoso tifón Haiyan se puede ver en una foto satelital tomada el jueves.

11. Como resultado del paso del tifón, numerosas casas fueron destruidas, y el huracán también provocó varios deslizamientos de tierra e inundaciones. Además, el huracán destruyó líneas eléctricas y telecomunicaciones.

12. Imagen satelital del 8 de noviembre que muestra el impacto del tifón Haiyan en Filipinas.

13. El tifón Haiyan, que azotó la parte central del archipiélago filipino el 8 de noviembre, comenzó con un tsunami: la altura de las olas alcanzó los 6 metros.

14. Según el resumen de la Administración Nacional de Defensa Civil de Filipinas, según los últimos datos, el desastre natural afectó en un grado u otro a casi 4,5 millones de personas, medio millón perdió sus hogares.

15. "Según el Ministerio de Relaciones Exteriores y la Agencia Federal de Turismo, de 110 a 150 rusos podrían estar en la zona de desastre en Filipinas. Todavía no hay información sobre si hay víctimas entre ellos", informa RIA Novosti.

16. Un tendero apunta su arma para detener a una multitud de personas que intentan asaltar su supermercado en la ciudad de Tacloban, provincia de Leyte, en el centro de Filipinas, el domingo 10 de noviembre.

17. La mayoría de los muertos se ahogaron o quedaron abrumados por los escombros de los edificios derrumbados. Asentamientos enteros fueron arrasados hasta los cimientos. Alrededor de un millón de residentes locales aún permanecen en refugios temporales.

18. Una mujer busca refugio con sus hijos durante el paso del poderoso tifón Haiyan en Cebú

19. El ejército estadounidense ayudará a Filipinas a eliminar las consecuencias del tifón.
Palabras clave: Desastre natural | Tifón | Ciclón
Publicar artículo de noticiasArtículos Recientes
Cada chico se siente atraído por las chicas de maneras absolutamente diferentes. Para alguien, un carácter tranquilo es ...
El 17 de noviembre de 1869, se abrió el Canal de Suez para el transporte marítimo. En esta ocasión, hoy hablaremos de ello y de ...
Artículos relacionados
¿Qué mejor que contar de las comunidades desaparecidas, si no las ruinas conservadas de los lugares en los que se ubicaron? Los ...
El poderoso tifón Ramassan, que tiene la tercera categoría de cinco en fuerza, está causando estragos en Filipinas. Como ...
El 11 de marzo de 2011 a las 14:46 horas de Japón, tronó el terremoto más fuerte de la historia del país (magnitud de unos 9 ...

Perdemos la infancia en el tiempo, pero la conservamos dentro de nosotros mismos. Probablemente por eso amamos tanto los cuentos de ...